До головного контенту
  1. Головна
  2. Документи
  3. Рішення міської ради
Чинний
Рішення міської ради від 30.06.2016 №10/73 м. Луцьк

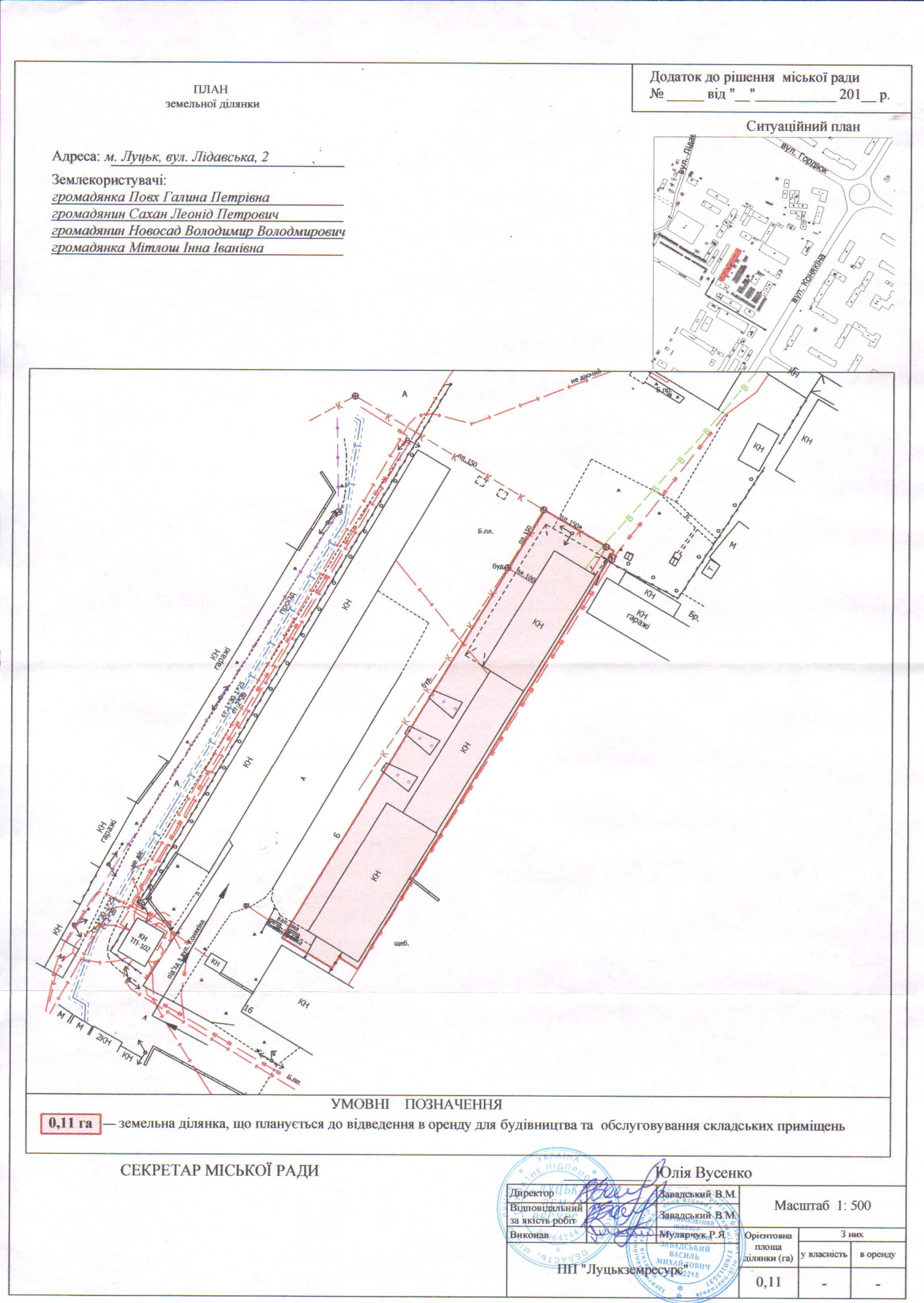
Про надання громадянам Повх Г.П., Сахану Л.П., Новосаду В.В., Мітлош І.І. дозволу на розроблення проекту землеустрою щодо відведення земельної ділянки для будівництва та обслуговування складських приміщень на вул. Лідавській, 2 (орієнтовною площе

Розглянувши клопотання громадян Повх Галини Петрівни, Сахана Леоніда Петровича, Новосада Володимира Володимировича, Мітлош Інни Іванівни про надання дозволу на розроблення проекту землеустрою щодо відведення земельної ділянки в оренду на вул. Лідавській, 2 для будівництва та обслуговування складських приміщень, схему генплану земельної ділянки з прикладеним листом управління містобудування та архітектури Луцької міської ради щодо режиму забудови даної території, визначеної для містобудівних потреб, встановлених у генеральному плані міста Луцька, керуючись статтями 12, 123-124, п. 2 ст. 134  Земельного Кодексу України, Законом України «Про оренду землі», Законом України «Про землеустрій», Законом України «Про внесення змін до деяких законодавчих актів України щодо розмежування земель державної та комунальної власності», ст. 26 Закону України «Про місцеве самоврядування в Україні», міська рада

 

ВИРІШИЛА:

 

1. Надати громадянам Повх Галині Петрівні, Сахану Леоніду Петровичу, Новосаду Володимиру Володимировичу, Мітлош Інні Іванівні дозвіл на розроблення проекту землеустрою щодо відведення земельної ділянки на умовах оренди для будівництва та обслуговування складських приміщень на вул. Лідавській, 2 орієнтовною площею 0,11 га, з земель комунальної власності, згідно з додатком.

Проект землеустрою щодо відведення земельної ділянки подати для розгляду та затвердження у встановленому порядку.

2. Контроль за виконанням даного рішення покласти на постійну комісію міської ради з питань земельних відносин та земельного кадастру  (Ткачук Є.Є.).

 

 

Міський голова                                                                            Микола Романюк

Додатки: