До головного контенту
  1. Головна
  2. Документи
  3. Рішення міської ради
Чинний
Рішення міської ради від 31.10.2018 №48/83 м. Луцьк

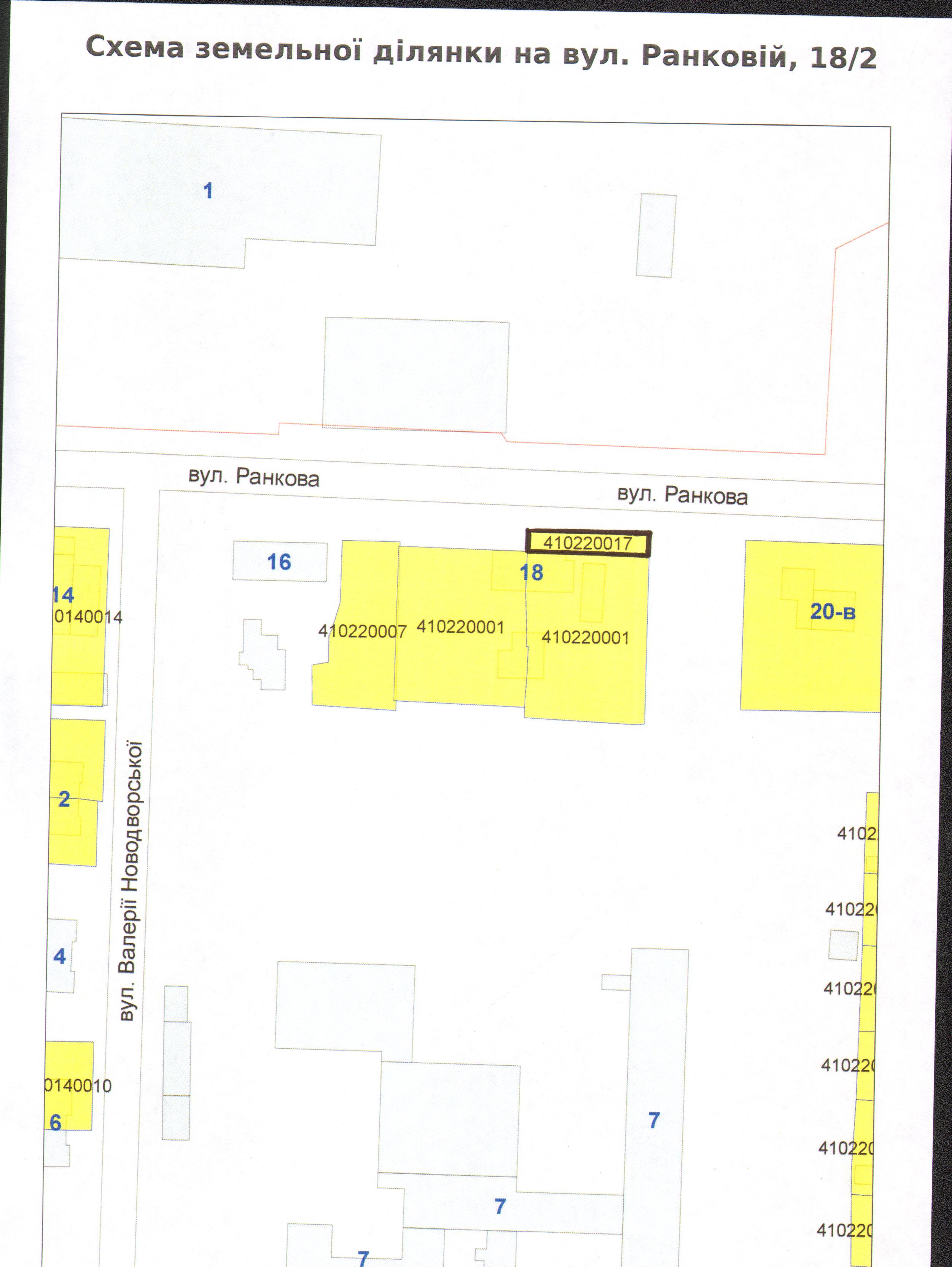
Про надання громадянам Васильченку М.І., Васильченко Н.В., Коробко І.М. дозволу на розроблення технічної документації із землеустрою щодо встановлення (відновлення) меж земельної ділянки в натурі (на місцевості) на вул. Ранковій, 18/2 (площею 0,0125 га).

Розглянувши клопотання громадян Васильченка Михайла Івановича, Васильченко Надії Володимирівни, Коробко Іванни Михайлівни про надання дозволу на розроблення технічної документації із землеустрою щодо встановлення (відновлення) меж земельної ділянки в натурі (на місцевості) на вул. Ранковій, 18/2 у зв’язку із переходом права власності на частину  нерухомого майна від громадянки Дікушиної Людмили Юріївни (спадкоємця майна громадянки Дікушиної Олени Сергіївни) до громадянки Коробко Іванни Михайлівни (договір купівлі-продажу частки квартири від 08.02.2018 за № 424, відповідно до якого право власності на 1/4 частку квартири № 2 у будинку № 18 зареєстроване у Державному реєстрі речових прав на нерухоме майно від 28.02.2018, номер запису про право власності: 25118804, договір купівлі-продажу від 08.02.2018 за № 423, відповідно до якого право власності на 1/4 частку земельної ділянки площею 0,1000 га зареєстроване у Державному реєстрі речових прав на нерухоме майно 28.02.2018, номер запису про право власності: 25054690), враховуючи правовстановлюючі документи громадян Васильченка Михайла Івановича, Васильченко Надії Володимирівни, Коробко Іванни Михайлівни  на об’єкти нерухомого майна вул. Ранковій, 18/2: свідоцтво про право власності на житло від 12.12.2002, відповідно до якого право власності по 1/4 частці на квартиру № 2 в житловому будинку № 18 зареєстроване у Державному реєстрі речових прав на нерухоме майно від 28.02.2018, номери запису про право власності: 25119173, 25119254, 25118922 відповідно, технічний паспорт на об’єкт нерухомого майна від 21.08.2018; державний акт на право власності на земельну ділянку площею 0,1000 га, зареєстрований в Книзі записів реєстрації державних актів на право власності на землю та на право постійного користування землею, договорів оренди землі від 20.05.2010 за                    № 011007700536, відповідно до якого право власності по 1/4 частці на земельну ділянку зареєстроване у Державному реєстрі речових прав на нерухоме майно від 21.02.2018, номери запису про право власності: 24977905, 24977678, 24978021 відповідно; договір оренди землі, укладений між Луцькою міською радою та громадянами Васильченком Михайлом Івановичем, Васильченко Надією Володимирівною, Коробко Іванною Михайлівною, Дікушиною Оленою Сергіївною, зареєстрований у Державному реєстрі земель від 27.04.2010 за № 041007700182, строк дії якого закінчився, акт приймання-передачі земельної ділянки від 22.03.2016, рішення Луцької міської ради від 27.08.2015 № 77/85 “Про поновлення договору оренди землі громадянам Васильченку М.І., Васильченко Н.В., Коробко І.М., Дікушиній О.С. в межах «червоних ліній» для обслуговування жилого будинку, господарських будівель і споруд на вул. Ранковій, 18/2”, керуючись статтями 12, 79-1, 93, 120, 122-123 Земельного кодексу України, статтею 7 Закону України “Про оренду землі”, Законом України “Про внесення змін до деяких законодавчих актів України щодо розмежування земель державної та комунальної власності”, статтею 55 Закону України “Про землеустрій”, статтею 26 Закону України “Про місцеве самоврядування в Україні”, пунктом 107 Постанови Кабінету Міністрів України від 17.10.2012 № 1051 “Про затвердження Порядку ведення Державного земельного кадастру”, міська рада

ВИРІШИЛА:

1. Надати громадянам Васильченку Михайлу Івановичу, Васильченко Надії Володимирівні, Коробко Іванні Михайлівні дозвіл на розроблення технічної документації із землеустрою щодо встановлення (відновлення) меж земельної ділянки в натурі (на місцевості) на вул. Ранковій, 18/2 площею 0,0125 га.
2. Зобов’язати громадян Васильченка Михайла Івановича, Васильченко Надію Володимирівну, Коробко Іванну Михайлівну  розробити технічну документацію із землеустрою щодо встановлення (відновлення) меж земельної ділянки в натурі (на місцевості) та подати її на затвердження до міської ради.
3. У разі зміни межі або цільового призначення земельної ділянки дане рішення втрачає чинність, а земельна ділянка підлягає відведенню за проектом землеустрою.
4. Рішення Луцької міської ради від 27.08.2015 № 77/85 “Про поновлення договору оренди землі громадянам Васильченку М.І., Васильченко Н.В., Коробко І.М., Дікушиній О.С. в межах «червоних ліній» для обслуговування жилого будинку, господарських будівель і споруд на                               вул. Ранковій, 18/2” втратило чинність у зв’язку із неукладенням додаткової угоди про поновлення договору оренди землі.
5. Контроль за виконанням даного рішення покласти на постійну комісію міської ради з питань земельних відносин та земельного кадастру (Козлюк О.Є.).


Секретар міської ради                                                                Григорій Пустовіт