До головного контенту
  1. Головна
  2. Документи
  3. Рішення міської ради
Чинний
Рішення міської ради від 25.07.2018 №44/74 м. Луцьк

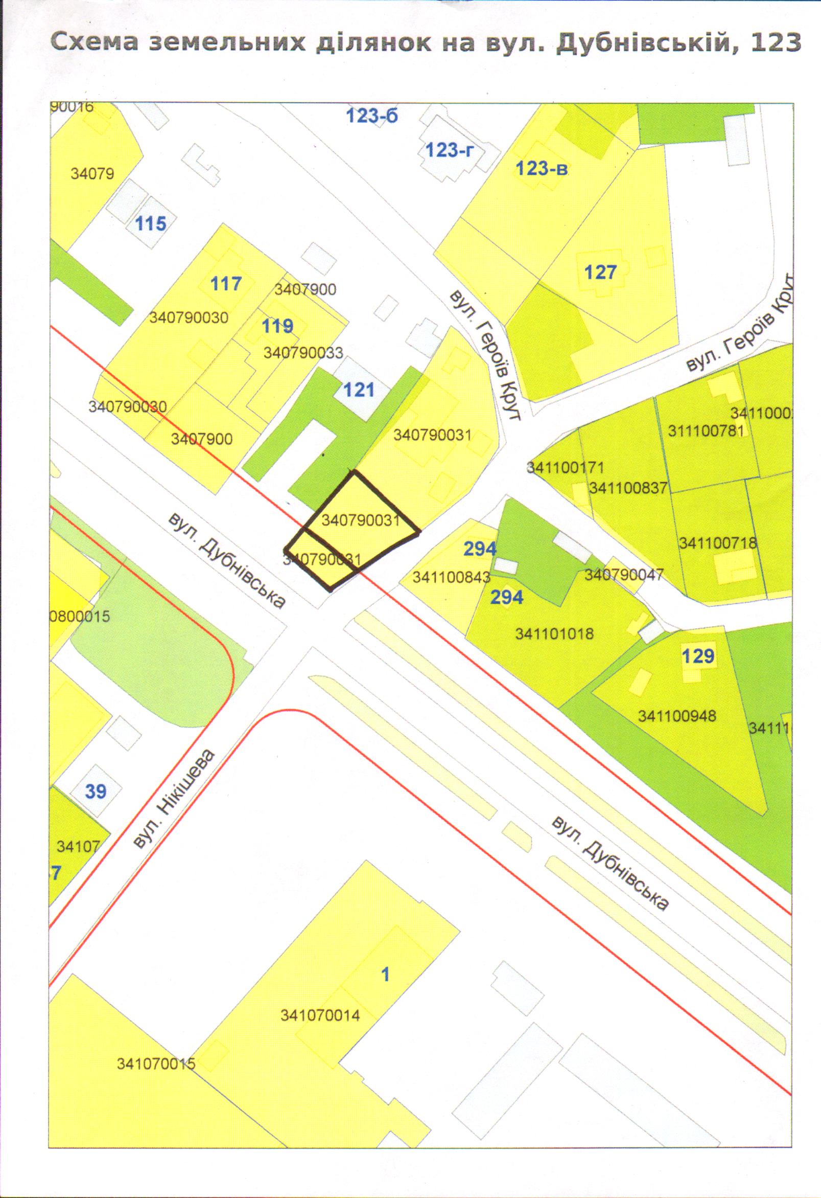
Про надання громадянам Власюку В.М., Власюку П.В. дозволу на розроблення технічних документацій із землеустрою щодо встановлення (відновлення) меж земельних ділянок в натурі (на місцевості) на вул. Дубнівській, 123 (загальною площею 0,0478 га, з них: земельна ділянка 1 – площею 0,0123 га, земельна ділянка 2 – площею 0,0355 га)

Розглянувши клопотання громадян Власюка Володимира Макаровича, Власюка Петра Володимировича про надання дозволу на розроблення технічних документацій із землеустрою щодо встановлення (відновлення) меж земельних ділянок в натурі (на місцевості) на вул. Дубнівській, 123 у зв’язку із переходом права власності на частину нерухомого майна  від громадянина Власюка Володимира Макаровича до громадянина Власюка Петра Володимировича (договір дарування частки житлового будинку від 23.08.2009 за № 1716, відповідно до якого право власності на 61/100 частку житлового будинку з надвірними будівлями та спорудами зареєстровано 28.07.2009, реєстраційний номер: 26774589), враховуючи правовстановлюючі документи громадянина Власюка Володимира Макаровича на об’єкти нерухомого майна на вул. Дубнівській, 123: свідоцтво про право власності на нерухоме майно від 18.03.2009, відповідно до якого право власності на  39/100 частку житлового будинку з надвірними будівлями та спорудами зареєстровано 28.07.2009, реєстраційний номер: 26774589, технічний паспорт на технічний паспорт на об’єкт нерухомого майна від 28.07.2009; державний акт на право власності на земельну ділянку  площею 0,1000 га, зареєстрований в Книзі записів реєстрації державних актів на право власності на землю та на право постійного користування землею, договорів оренди землі від 25.05.2009 за № 010907700677; договори оренди землі, укладені між Луцькою міською радою та громадянином Власюком Володимиром Макаровичем, зареєстровані у Державному реєстрі земель від 25.05.2009 за                     № 040907700297, № 040907700298, акти приймання-передачі земельних ділянок від 12.06.2018, керуючись статтями 12, 79-1, 93, 120, 122-123 Земельного кодексу України, статтею 7 Закону України «Про оренду землі», Законом України «Про внесення змін до деяких законодавчих актів України щодо розмежування земель державної та комунальної власності», статтею 55 Закону України «Про землеустрій», статтею 26 Закону України «Про місцеве самоврядування в Україні», пунктом 107 Постанови Кабінету Міністрів України від 17.10.2012 № 1051 «Про затвердження Порядку ведення Державного земельного кадастру», міська рада

ВИРІШИЛА:

1. Надати громадянам Власюку Володимиру Макаровичу, Власюку Петру Володимировичу дозвіл на розроблення технічних документацій із землеустрою щодо встановлення (відновлення) меж земельних ділянок в натурі (на місцевості) на вул. Дубнівській, 123, загальною площею 0,0478 га, з них: земельна ділянка 1 – площею 0,0123 га, земельна ділянка 2 – площею 0,0355 га.
2. Зобов’язати громадян Власюка Володимира Макаровича, Власюка Петра Володимировича розробити технічні документації із землеустрою щодо встановлення (відновлення) меж земельних ділянок в натурі (на місцевості) та подати їх на затвердження до міської ради.
3. У разі зміни межі або цільового призначення земельних ділянок дане рішення втрачає чинність, а земельні ділянки підлягають відведенню за проектамиземлеустрою.
4. Контроль за виконанням даного рішення покласти на постійну комісію міської ради з питань земельних відносин та земельного кадастру (Козлюк О.Є.).


Секретар міської ради                                                                Григорій Пустовіт