До головного контенту
  1. Головна
  2. Документи
  3. Рішення міської ради
Чинний
Рішення міської ради від 30.05.2018 №42/57 м. Луцьк

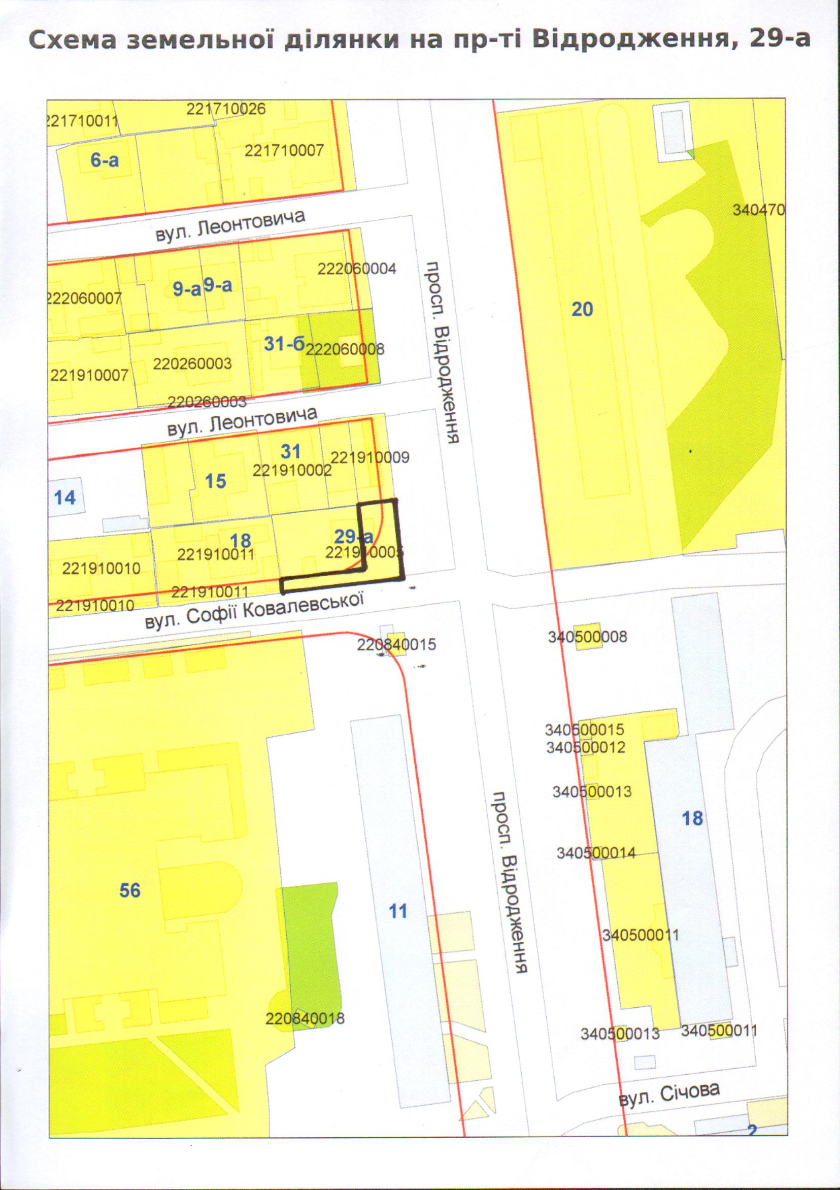
Про надання громадянам Зайцевій О.Ю., Нікітюку О.М. дозволу на розроблення технічної документації із землеустрою щодо встановлення (відновлення) меж земельної ділянки в натурі (на місцевості) на пр-ті Відродження, 29-а (площею 0,0249 га)

Розглянувши клопотання громадян Зайцевої Олени Юріївни, Нікітюка Олексія Миколайовича про надання дозволу на розроблення технічної документації із землеустрою щодо встановлення (відновлення) меж земельної ділянки в натурі (на місцевості) на пр-ті Відродження, 29-а у зв’язку із переходом права власності на нерухоме майно  від громадян Пугінця Євгена Олексійовича, Пугінця Романа Євгеновича, Венської Марії Євгенівни до громадян Зайцевої Олени Юріївни, Нікітюка Олексія Миколайовича (договір купівлі-продажу житлового будинку від 01.03.2018 за № 2184, відповідно до якого право власності по 1/2 частці житлового будинку з надвірними будівлями та спорудами зареєстровано в Державному реєстрі речових прав на нерухоме майно 01.03.2018, номери записів про право власності: 25086340, 25086315 відповідно,  технічний паспорт на об’єкт нерухомого майна від 02.03.2018; договір купівлі-продажу земельної ділянки від 01.03.2018 за № 2189, відповідно до якого право власності по 1/2 частці земельної ділянки площею 0,0348 га зареєстровано в Державному реєстрі речових прав на нерухоме майно 01.03.2018, номери запису про право власності: 25085883, 25085882 відповідно), враховуючи договір оренди землі, укладений між Луцькою міською радою та громадянином Пугінцем Євгеном Олексійовичем, зареєстрований у Державному реєстрі земель від 10.05.2007 за № 040707700171, акт приймання-передачі земельної ділянки від 24.09.2017, керуючись статтями 12, 79-1, 93, 120, 122-123 Земельного кодексу України, статтею 7 Закону України «Про оренду землі», Законом України «Про внесення змін до деяких законодавчих актів України щодо розмежування земель державної та комунальної власності», статтею 55 Закону України «Про землеустрій», статтею 26 Закону України «Про місцеве самоврядування в Україні», пунктом 107 Постанови Кабінету Міністрів України від 17.10.2012 № 1051 «Про затвердження Порядку ведення Державного земельного кадастру», міська рада

ВИРІШИЛА:

1. Надати громадянам Зайцевій Олені Юріївні, Нікітюку Олексію Миколайовичу дозвіл на розроблення технічної документації із землеустрою щодо встановлення (відновлення) меж земельної ділянки в натурі (на місцевості) на впр-ті Відродження, 29-а, площею 0,0249 га.
2. Зобов’язати громадян  Зайцеву Олену Юріївну, Нікітюка Олексія Миколайовича розробити технічну документацію із землеустрою щодо встановлення (відновлення) меж земельної ділянки в натурі (на місцевості) та подати її на затвердження до міської ради.
3. У разі зміни межі або цільового призначення земельної ділянки дане рішення втрачає чинність, а земельна ділянка підлягає відведенню за проектом землеустрою.
4. Контроль за виконанням даного рішення покласти на постійну комісію міської ради з питань земельних відносин та земельного кадастру (Ткачук Є.Є.).


Секретар міської ради                                                                Григорій Пустовіт