До головного контенту
  1. Головна
  2. Документи
  3. Рішення міської ради
Чинний
Рішення міської ради від 29.08.2018 №46/40 м. Луцьк

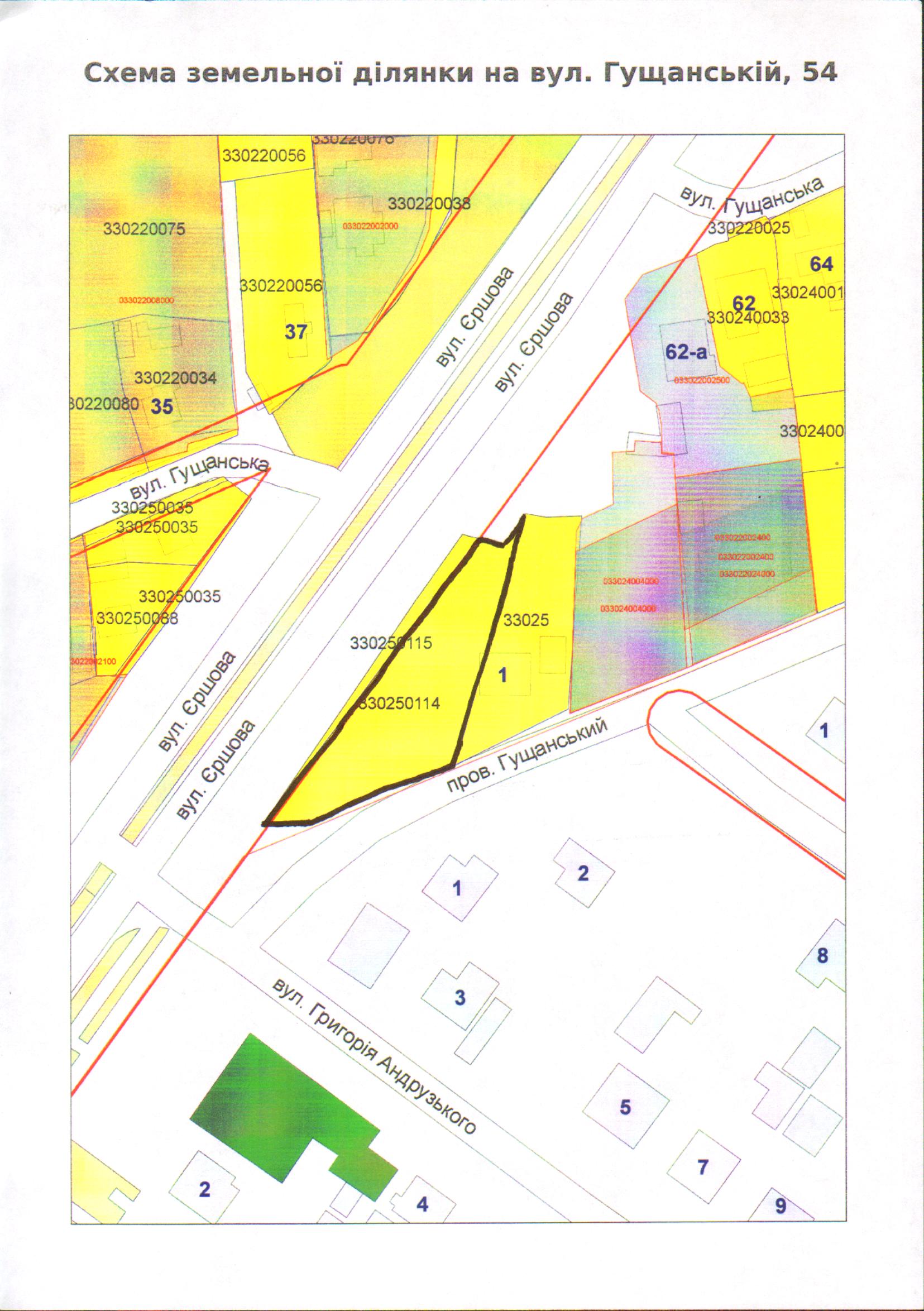
Про надання громадянці Степанюк С.М. дозволу на розроблення технічної документації із землеустрою щодо встановлення (відновлення) меж земельної ділянки в натурі (на місцевості) на вул. Гущанській, 54 (площею 0,1524 га)

Розглянувши клопотання громадянки Степанюк Софії Миколаївни про надання дозволу на розроблення технічної документації із землеустрою щодо встановлення (відновлення) меж земельної ділянки в натурі (на місцевості) на вул. Гущанській, 54, враховуючи правовстановлюючі документи на об'єкти нерухомого майна на провул. Гущанському, 1: дозвіл на виконання будівельних робіт інспекції Державного архітектурно-будівельного контролю у Волинській області від 19.02.2009 № 245, технічний паспорт на садибний (індивідуальний) житловий будинок від 10.02.2015; державний акт на право власності на земельну ділянку площею 0,1000 га, зареєстрований в Книзі записів реєстрації державних актів на право власності на землю та на право постійного користування землею, договорів оренди землі від 25.01.2008 за              № 010807700068, враховуючи договір оренди землі, укладений між Луцькою міською радою та громадянкою Кучерепою Софією Григорівною, зареєстрований у Державному реєстрі земель від 09.11.2012 за                           № 071010004000765, строк дії якого закінчився 09.11.2017, у зв’язку зі смертю громадянки Кучерепи Софії Григорівни (інформацію Луцького міського відділу державної реєстрації актів цивільного стану Головного територіального управління юстиції у Волинській області від 14.05.2016                 № 1874/02-02.06-116, відповідно до якої громадянка Кучерепа Софія Григорівна померла 27.04.2013), керуючись статтями 12, 79-1, 93, 120, 122-123 Земельного кодексу України, статтею 6, 7 Закону України «Про оренду землі», Законом України «Про внесення змін до деяких законодавчих актів України щодо розмежування земель державної та комунальної власності», статтею 55 Закону України «Про землеустрій», статтею 26 Закону України «Про місцеве самоврядування в Україні», пунктом 107 Постанови Кабінету Міністрів України від 17.10.2012 № 1051 «Про затвердження Порядку ведення Державного земельного кадастру», міська рада

ВИРІШИЛА:

1. Надати громадянці Степанюк Софії Миколаївні дозвіл на розроблення технічної документації із землеустрою щодо встановлення (відновлення) меж земельної ділянки в натурі (на місцевості) на                                     вул. Гущанській, 54, площею 0,1524 га.
2. Зобов’язати громадянку Степанюк Софію Миколаївну:
2.1. Розробити технічну документацію із землеустрою щодо встановлення (відновлення) меж земельної ділянки в натурі (на місцевості) та подати її на затвердження до міської ради.
2.2. Внести зміни в адресу земельної ділянки.
3. У разі зміни межі або цільового призначення земельної ділянки дане рішення втрачає чинність, а земельна ділянка підлягає відведенню за проектом землеустрою.
4. Контроль за виконанням даного рішення покласти на постійну комісію міської ради з питань земельних відносин та земельного кадастру (Козлюк О.Є.).


Секретар міської ради                                                                Григорій Пустовіт