До головного контенту
  1. Головна
  2. Документи
  3. Рішення міської ради
Чинний
Рішення міської ради від 31.01.2018 №7/54 м. Луцьк

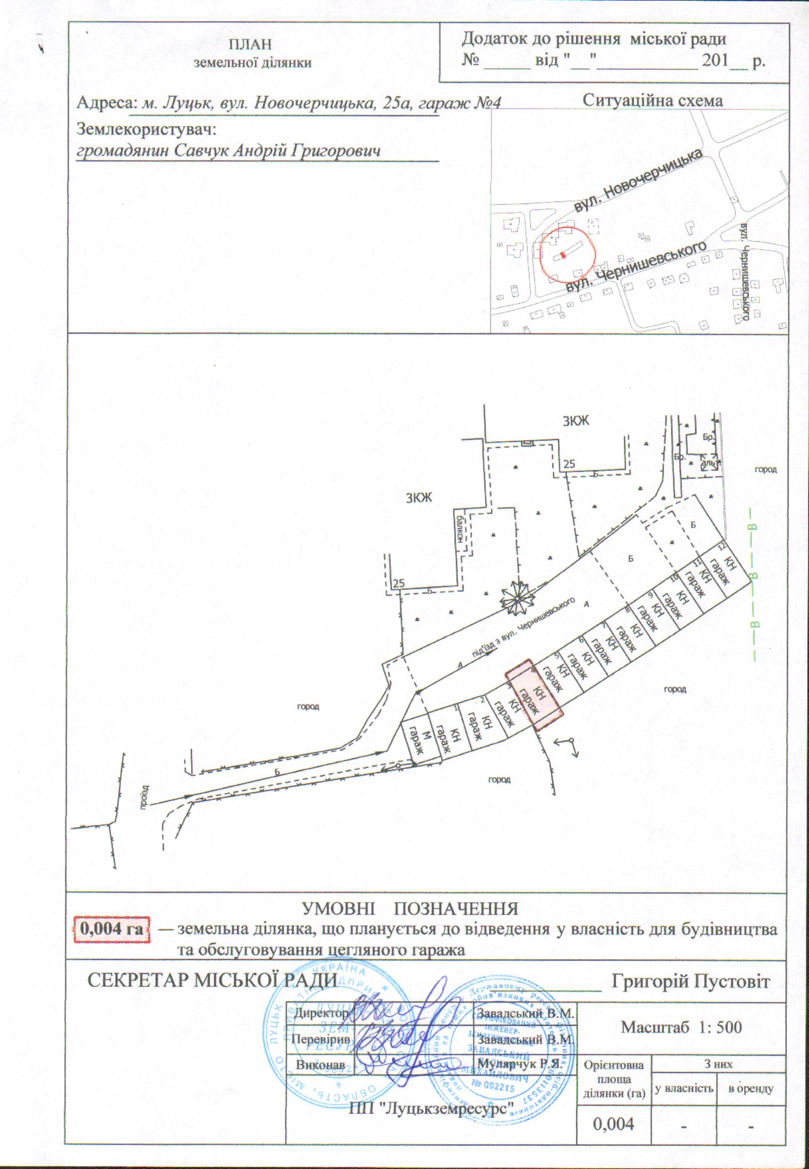
Про надання громадянину Савчуку А.Г. дозволу на розроблення проекту землеустрою щодо відведення земельної ділянки для будівництва та обслуговування цегляного гаража на вул. Новочерчицькій, 25а, гараж №4

Розглянувши заяву громадянина Савчука Андрія Григоровича про надання дозволу на розроблення проекту землеустрою щодо відведення земельної ділянки на вул. Новочерчицькій, 25а, гараж №4 для будівництва та обслуговування цегляного гаража, технічний паспорт на об’єкт нерухомого майна, договір купівлі-продажу гаража, витяг з Державного реєстру речових прав на нерухоме майно про реєстрацію права власності, генплан земельної ділянки, лист управління містобудування та архітектури Луцької міської ради щодо режиму забудови даної території, визначеної для містобудівних потреб генеральним планом м. Луцька та довідку з Головного управління Держгеокадастру у Волинській області, керуючись статтями 12, 116, 118, 121-122 Земельного кодексу України, Законом України «Про землеустрій», ст. 26 Закону України «Про місцеве самоврядування в Україні», Генеральним планом міста Луцька, затвердженим рішенням міської ради від 24.06.2009   № 42/1 «Про затвердження Генерального плану міста», планом зонування міста Луцька, затвердженим рішенням міської ради від 31.03.2014 № 57/30 «Про затвердження плану зонування території міста Луцька», міська рада

ВИРІШИЛА:

1. Надати громадянину Савчуку Андрію Григоровичу дозвіл на розроблення проекту землеустрою щодо відведення земельної ділянки у власність для будівництва та обслуговування цегляного гаража на               вул. Новочерчицькій, 25а, гараж №4, орієнтовною площею 0,004 га, згідно з додатком.  
Проект землеустрою щодо відведення земельної ділянки подати для розгляду та затвердження у встановленому порядку.
2. Контроль за виконанням даного рішення покласти на постійну комісію міської ради з питань земельних відносин та земельного кадастру (Ткачук Є.Є.). 


Секретар міської ради                                                                Григорій Пустовіт