До головного контенту
  1. Головна
  2. Документи
  3. Рішення міської ради
Чинний
Рішення міської ради від 01.03.2018 №38/56 м. Луцьк

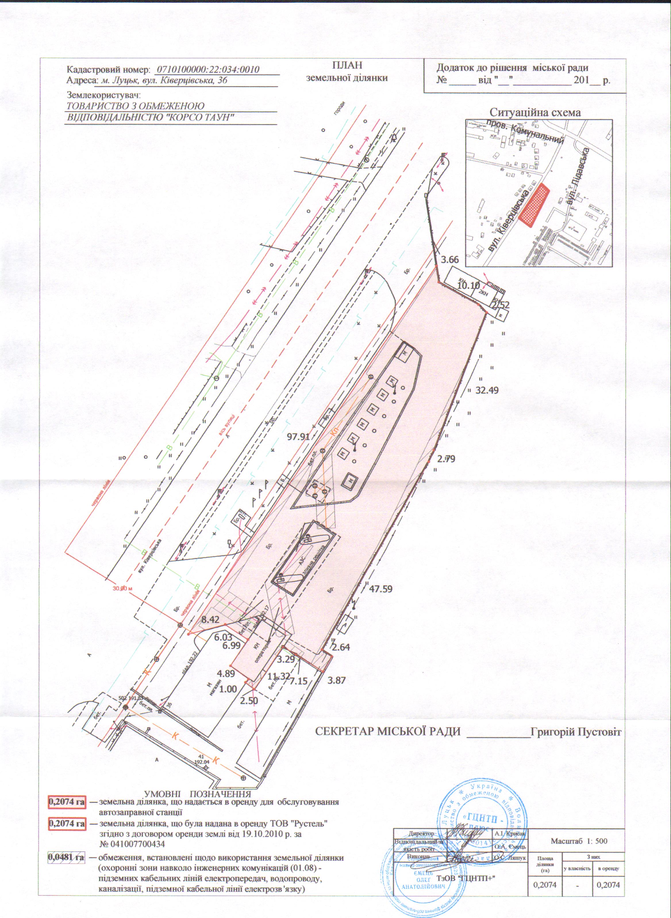
Про надання ТОВ «КОРСО ТАУН» на умовах оренди земельної ділянки для обслуговування автозаправної станції на вул. Ківерцівській, 36 (площею 0,2074 га).

Розглянувши клопотання ТОВАРИСТВА З ОБМЕЖЕНОЮ ВІДПОВІДАЛЬНІСТЮ «КОРСО ТАУН» щодо надання на умовах оренди земельної ділянки на вул. Ківерцівській, 36 для обслуговування автозаправної станції, матеріали технічної документації із землеустрою щодо встановлення (відновлення) меж земельної ділянки в натурі (на місцевості) ТОВАРИСТВУ З ОБМЕЖЕНОЮ ВІДПОВІДАЛЬНІСТЮ «КОРСО ТАУН», витяг з Державного земельного кадастру про земельну ділянку від 28.12.2017 № НВ-0703697452017, керуючись статтями 12, 79-1, 93, 96, 123-126, 186 Земельного кодексу України, статтею 55 Закону України «Про землеустрій», статтями 4-7, 16, 17, 19 Закону України «Про оренду землі», статтями 21, 22, 24 Закону України «Про Державний земельний кадастр», статтею 4 Закону України «Про державну реєстрацію речових прав на нерухоме майно та їх обтяжень», Законом України «Про внесення змін до деяких законодавчих актів України щодо розмежування земель державної та комунальної власності», статтею 26 Закону України «Про місцеве самоврядування в Україні», пунктами 75, 107, 110-111 Постанови Кабінету Міністрів України від 17.10.2012 № 1051 «Про затвердження Порядку ведення Державного земельного кадастру», міська рада

 

ВИРІШИЛА:

 

1. Затвердити ТОВАРИСТВУ З ОБМЕЖЕНОЮ ВІДПОВІДАЛЬНІСТЮ «КОРСО ТАУН» технічну документацію із землеустрою щодо встановлення (відновлення) меж земельної ділянки в натурі (на місцевості) на                                    вул. Ківерцівській, 36, площею 0,2074 га, кадастровим номером 0710100000:22:034:0010, для обслуговування автозаправної станції.

2. Надати ТОВАРИСТВУ З ОБМЕЖЕНОЮ ВІДПОВІДАЛЬНІСТЮ «КОРСО ТАУН» земельну ділянку на  вул. Ківерцівській, 36, на умовах оренди строком на 10 років з дати укладення договору оренди землі, площею                   0,2074 га, кадастровим номером 0710100000:22:034:0010, для обслуговування автозаправної станції, згідно з додатком.

 

3. Укласти з ТОВАРИСТВОМ З ОБМЕЖЕНОЮ ВІДПОВІДАЛЬНІСТЮ «КОРСО ТАУН» договір оренди земельної ділянки на вул. Ківерцівській, 36 на вказаних в даному рішенні умовах, а також оформити інші документи, необхідні для вчинення цієї угоди.

4. Зобов’язати ТОВАРИСТВО З ОБМЕЖЕНОЮ ВІДПОВІДАЛЬНІСТЮ «КОРСО ТАУН»:

4.1. Укласти з міською радою договір оренди землі.

4.2. Зареєструвати право оренди земельної ділянки в порядку, визначеному чинним законодавством України.

4.3. Виконувати обов’язки землекористувача відповідно до вимог ст. 96 Земельного кодексу України.

4.4. Забезпечувати збереження та вільний доступ до мереж міських інженерних комунікацій, що проходять по зазначеній території, для проведення ремонтних та профілактичних робіт.

5. У разі, якщо одна із сторін не підписала договір оренди землі впродовж шести календарних місяців з моменту прийняття даного рішення, пункти 1-4 рішення втрачають чинність.

6. Контроль за виконанням даного рішення покласти на постійну комісію міської ради з питань земельних відносин та земельного кадастру (Ткачук Є.Є.).

 

 

Секретар міської ради                                                                    Григорій Пустовіт