До головного контенту
  1. Головна
  2. Документи
  3. Рішення міської ради
Чинний
Рішення міської ради від 06.06.2012 №25/110 м. Луцьк

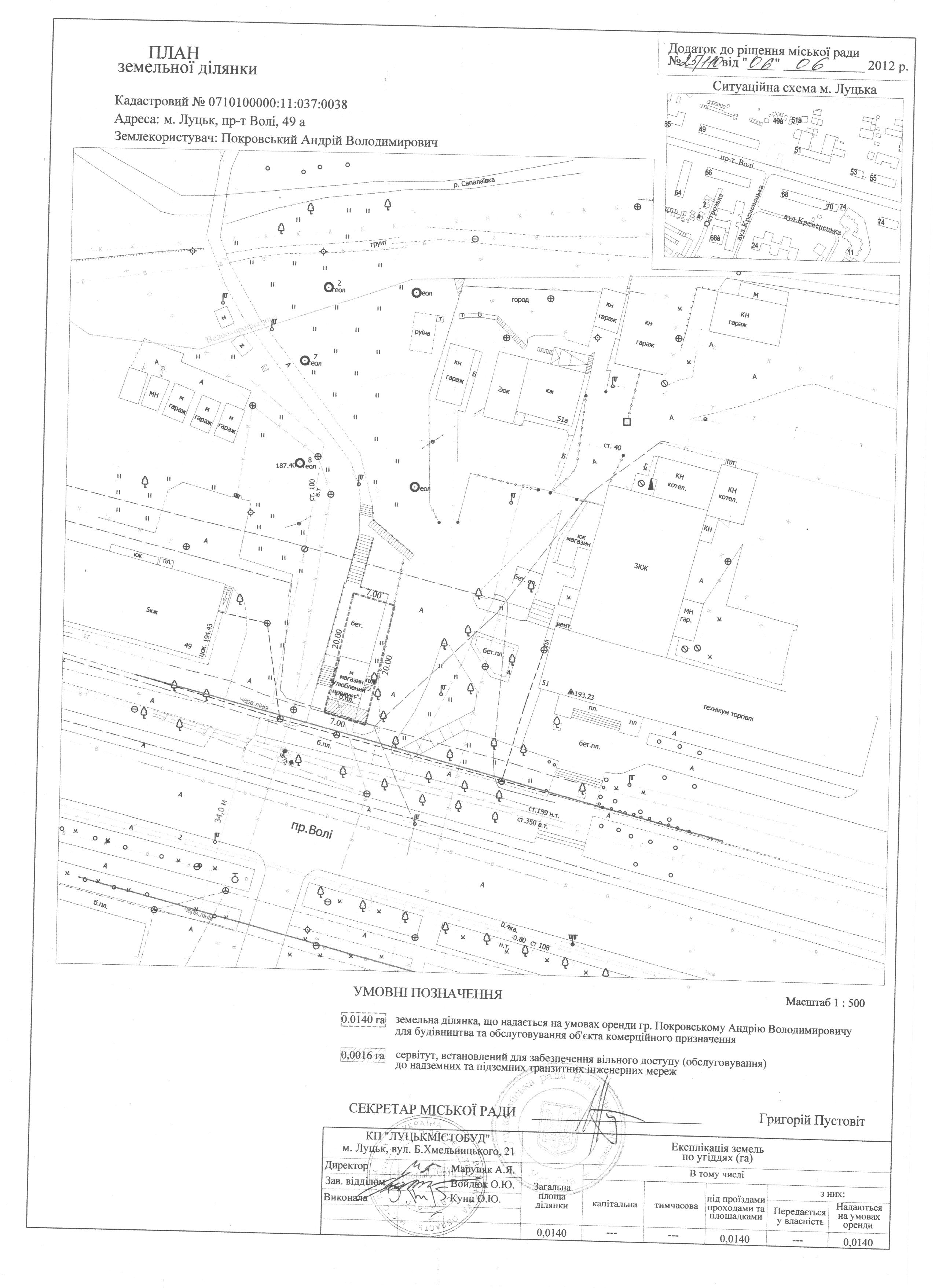
Про надання громадянину Покровському А.В. на умовах оренди земельної ділянки для будівництва та обслуговування об’єкта комерційного призначення на пр-ті Волі, 49а

Розглянувши клопотання громадянина Покровського Андрія Володимировича щодо надання на умовах оренди земельної ділянки на пр-ті Волі, 49а для будівництва та обслуговування об’єкта комерційного призначення, матеріали проекту землеустрою щодо відведення земельної ділянки громадянину Покровському Андрію Володимировичу, керуючись статтями 12, 93, 96, 123-126, 186 Земельного кодексу України, ст. 26 Закону України “Про місцеве самоврядування в Україні”, міська рада

 

ВИРІШИЛА:

 

1. Затвердити громадянину Покровському Андрію Володимировичу проект землеустрою щодо відведення земельної ділянки на пр-ті Волі, 49а площею 0,0140 га для будівництва та обслуговування об’єкта комерційного призначення.

2. Надати громадянину Покровському Андрію Володимировичу на умовах оренди строком на 5 років земельну ділянку на пр-ті Волі, 49а  площею 0,0140 га для будівництва та обслуговування об’єкта комерційного призначення, за рахунок земель міста, не наданих у власність чи користування, згідно з додатком.

3. Укласти з громадянином Покровським Андрієм Володимировичем  договір оренди земельної ділянки на пр-ті Волі, 49а, на вказаних в даному рішенні  умовах, а також оформити інші документи, необхідні для вчинення цієї угоди.

4. Зобов’язати громадянина Покровського Андрія Володимировича:

4.1. В місячний термін укласти з міською радою договір оренди землі.

4.2. Зареєструвати договір оренди землі та право оренди земельної ділянки в управлінні Держкомзему у м. Луцьку Волинської області.

4.3. Виконувати обов’язки землекористувача відповідно до вимог ст. 96 Земельного кодексу України.

 

4.4. Забезпечувати збереження та вільний доступ до мереж міських інженерних комунікацій, що проходять по зазначеній території, для проведення ремонтних та профілактичних робіт.

5. У разі неукладення договору оренди землі впродовж шести календарних місяців з моменту прийняття даного рішення, воно втрачає чинність.

6. Контроль за виконанням даного рішення покласти на постійну комісію міської ради з питань земельних відносин та земельного кадастру (Никитюк В.С.).

 

 

Міський голова                                                                                Микола Романюк

 

 

 

 

 

 

 

 

 

 

Додатки: