До головного контенту
  1. Головна
  2. Документи
  3. Рішення міської ради
Чинний
Рішення міської ради від 25.10.2017 №32/32 м. Луцьк

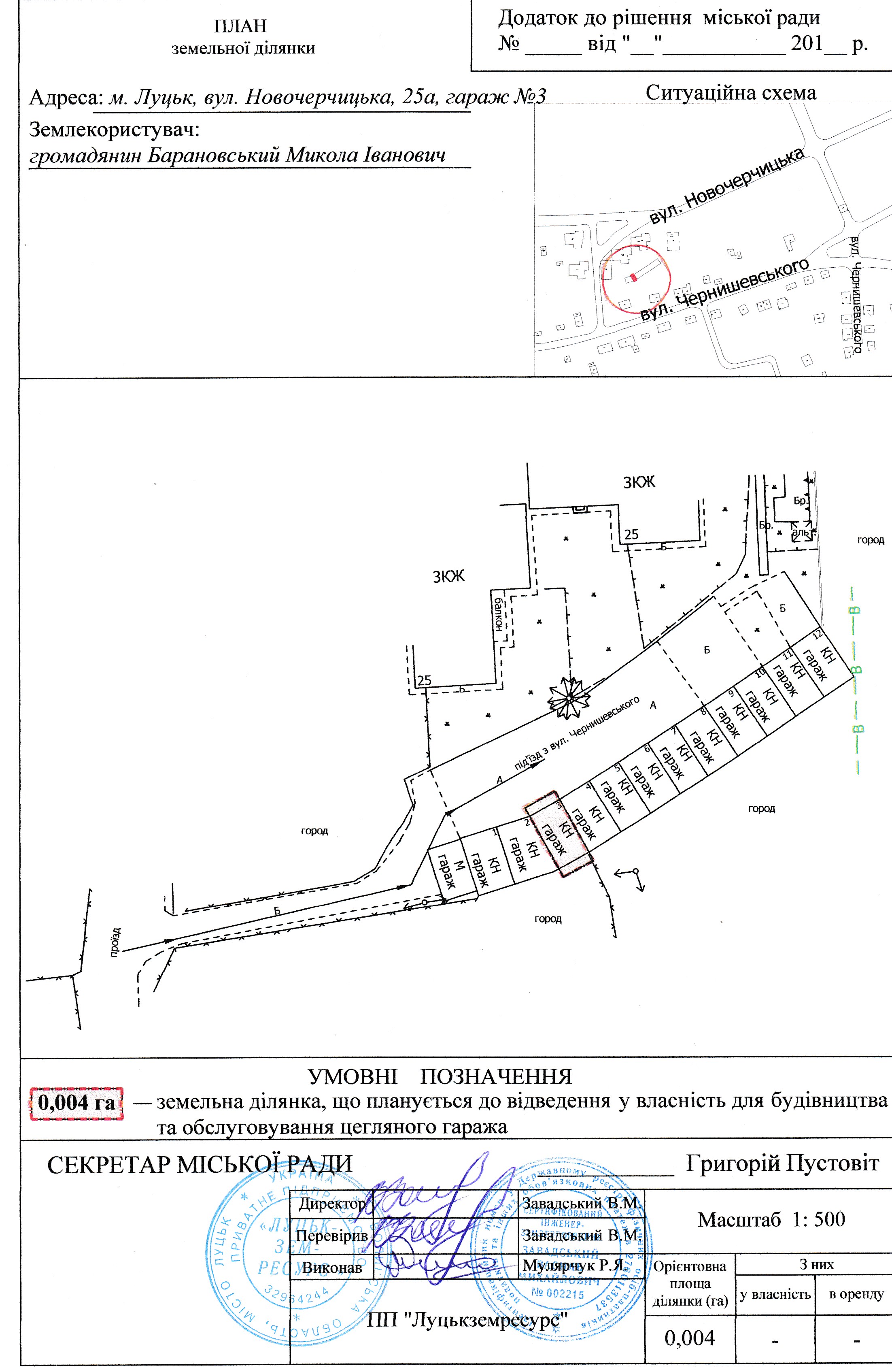
Про надання громадянину Барановському М.І. дозволу на розроблення проекту землеустрою щодо відведення земельної ділянки для будівництва та обслуговування цегляного гаража на вул. Новочерчицькій, 25а, гараж №3

Розглянувши заяву громадянина Барановського Миколи Івановича про надання дозволу на розроблення проекту землеустрою щодо відведення земельної ділянки на вул. Новочерчицькій, 25а, гараж №3 для будівництва та обслуговування цегляного гаража, технічний паспорт на об’єкт нерухомого майна, свідоцтво про право власності, витяг про реєстрацію права власності на нерухоме майно, генплан земельної ділянки, лист управління містобудування та архітектури Луцької міської ради щодо режиму забудови даної території, визначеної для містобудівних потреб генеральним планом   м. Луцька та довідку з Головного управління Держгеокадастру у Волинській області, керуючись статтями 12, 116, 118, 121-122 Земельного кодексу України, Законом України «Про землеустрій» та ст. 26 Закону України «Про місцеве самоврядування в Україні», міська рада  

ВИРІШИЛА:  

1. Надати громадянину Барановському Миколі Івановичу дозвіл на розроблення проекту землеустрою щодо відведення земельної ділянки у власність для будівництва та обслуговування цегляного гаража на               вул. Новочерчицькій, 25а, гараж №3, орієнтовною площею 0,004 га, згідно з додатком.  Проект землеустрою щодо відведення земельної ділянки подати для розгляду та затвердження у встановленому порядку.

2. Контроль за виконанням даного рішення покласти на постійну комісію міської ради з питань земельних відносин та земельного кадастру (Ткачук Є.Є.).    

 

Секретар міської ради                                                                Григорій Пустовіт