До головного контенту
  1. Головна
  2. Документи
  3. Рішення міської ради
Чинний
Рішення міської ради від 26.04.2017 №23/48 м. Луцьк

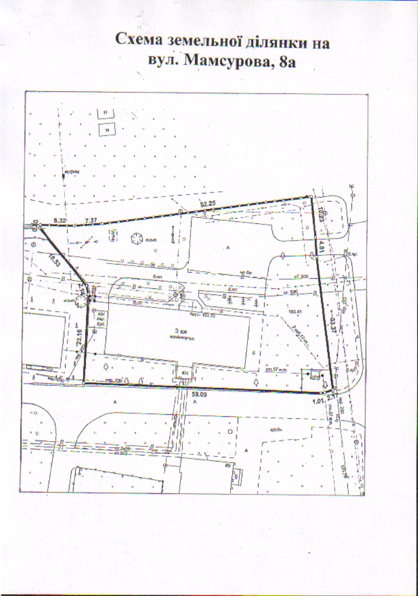
Про надання ТОВ «ФОРВАРД» дозволу на розроблення технічної документації із землеустрою щодо встановлення (відновлення) меж земельної натурі (на місцевості) на вул. Мамсурова, 8а (площею 0,2679 га)

Розглянувши клопотання ТОВАРИСТВА З ОБМЕЖЕНОЮ ВІДПОВІДАЛЬНІСТЮ «ФОРВАРД» про надання дозволу на розроблення технічної документації із землеустрою щодо встановлення (відновлення) меж земельної ділянки в натурі (на місцевості) на вул. Мамсурова, 8а, у зв’язку із переходом права власності на об'єкти нерухомого майна на вул. Мамсурова, 8а від ПРИВАТНОГО ПІДПРИЄМСТВА «НІКАЛЯ» до ТОВАРИСТВА З ОБМЕЖЕНОЮ ВІДПОВІДАЛЬНІСТЮ «ФОРВАРД»: договір купівлі-продажу від 19.08.2016 № 820, відповідно до якого право власності на будівлю адміністративного приміщення відділу капітального будівництва зареєстроване в Державному реєстрі речових прав на нерухоме від 19.08.2016, номер запису про право власності 15998820, технічний паспорт на об’єкт нерухомого майна від 05.10.2016, враховуючи договір оренди землі, укладений між Луцькою міською радою та закритим акціонерним товариством «Західпромбуд», зареєстрований у Державному реєстрі земель від 01.02.2008 за № 040807700043, строк дії якого закінчився, інформацію з Єдиного державного реєстру юридичних осіб, фізичних осіб-підприємців та громадських формувань щодо припинення діяльності закритого акціонерного товариства «Західпромбуд» від 19.10.2016, номер запису: 11981170012003392, керуючись статтями 12, 79-1, 93, 96, 120, 122-126 Земельного кодексу України, статтею 7 Закону України «Про оренду землі», Законом України «Про внесення змін до деяких законодавчих актів України щодо розмежування земель державної та комунальної власності», статтею 55 Закону України «Про землеустрій», Законом України «Про Державний земельний кадастр», статтею 26 Закону України «Про місцеве самоврядування в Україні», пунктом 106 Постанови Кабінету Міністрів України від 17.10.2012 № 1051 «Про затвердження Порядку ведення Державного земельного кадастру», міська рада

 

ВИРІШИЛА:

 

1. Надати ТОВАРИСТВУ З ОБМЕЖЕНОЮ ВІДПОВІДАЛЬНІСТЮ «ФОРВАРД» дозвіл на розроблення технічної документації із землеустрою щодо встановлення (відновлення) меж земельної ділянки в натурі (на місцевості) на вул. Мамсурова, 8а, площею 0,2679 га.

2. Зобов’язати ТОВАРИСТВО З ОБМЕЖЕНОЮ ВІДПОВІДАЛЬНІСТЮ «ФОРВАРД» розробити технічну документацію із землеустрою щодо встановлення (відновлення) меж земельної ділянки в натурі (на місцевості) та подати її на затвердження до міської ради.

3. У разі зміни межі або цільового призначення земельної ділянки дане рішення втрачає чинність, а земельна ділянка підлягає відведенню за проектом землеустрою.

4. Контроль за виконанням даного рішення покласти на постійну комісію міської ради з питань земельних відносин та земельного кадастру (Ткачук Є.Є.).

 

 

Секретар міської ради                                                                       Ігор Поліщук