До головного контенту
  1. Головна
  2. Документи
  3. Рішення виконавчого комітету
Чинний
Рішення виконавчого комітету від 02.08.2017 №441-1 м. Луцьк

Про розміщення підприємцем Ліщиною В.О. групи тимчасових споруд на проспекті Волі, 2

Розглянувши звернення підприємця Ліщини Володимира Олександровича щодо розміщення групи тимчасових споруд, з метою впорядкування розміщення та функціонування тимчасових споруд для провадження підприємницької діяльності на території міста Луцька, відповідно до законів України «Про місцеве самоврядування в Україні», «Про регулювання містобудівної діяльності», «Про благоустрій населених пунктів», наказу Міністерства регіонального розвитку, будівництва та житлово-комунального господарства України від 21.10.2011 № 244 «Про затвердження Порядку розміщення тимчасових споруд для провадження підприємницької діяльності», рішення Луцької міської ради від 25.01.2017 № 18/16 «Про тимчасове користування окремими елементами благоустрою комунальної власності для розміщення тимчасових споруд з метою провадження підприємницької діяльності на території міста Луцька», рішення виконавчого комітету Луцької міської ради від 02.08.2012 № 528-1 «Про Правила розміщення та функціонування тимчасових споруд для провадження підприємницької діяльності на території міста Луцька», протоколу засідання робочої групи з погодження місця розташування та функціонування тимчасових споруд для провадження підприємницької діяльності на території міста Луцька від 25.07.2017 № 9, враховуючи позитивний висновок про відповідність намірів щодо місця розташування тимчасової споруди від 12.07.2017 № 20-27/643 на  № П46876-097 управління містобудування та архітектури, виконавчий комітет міської ради

 

ВИРІШИВ:

 

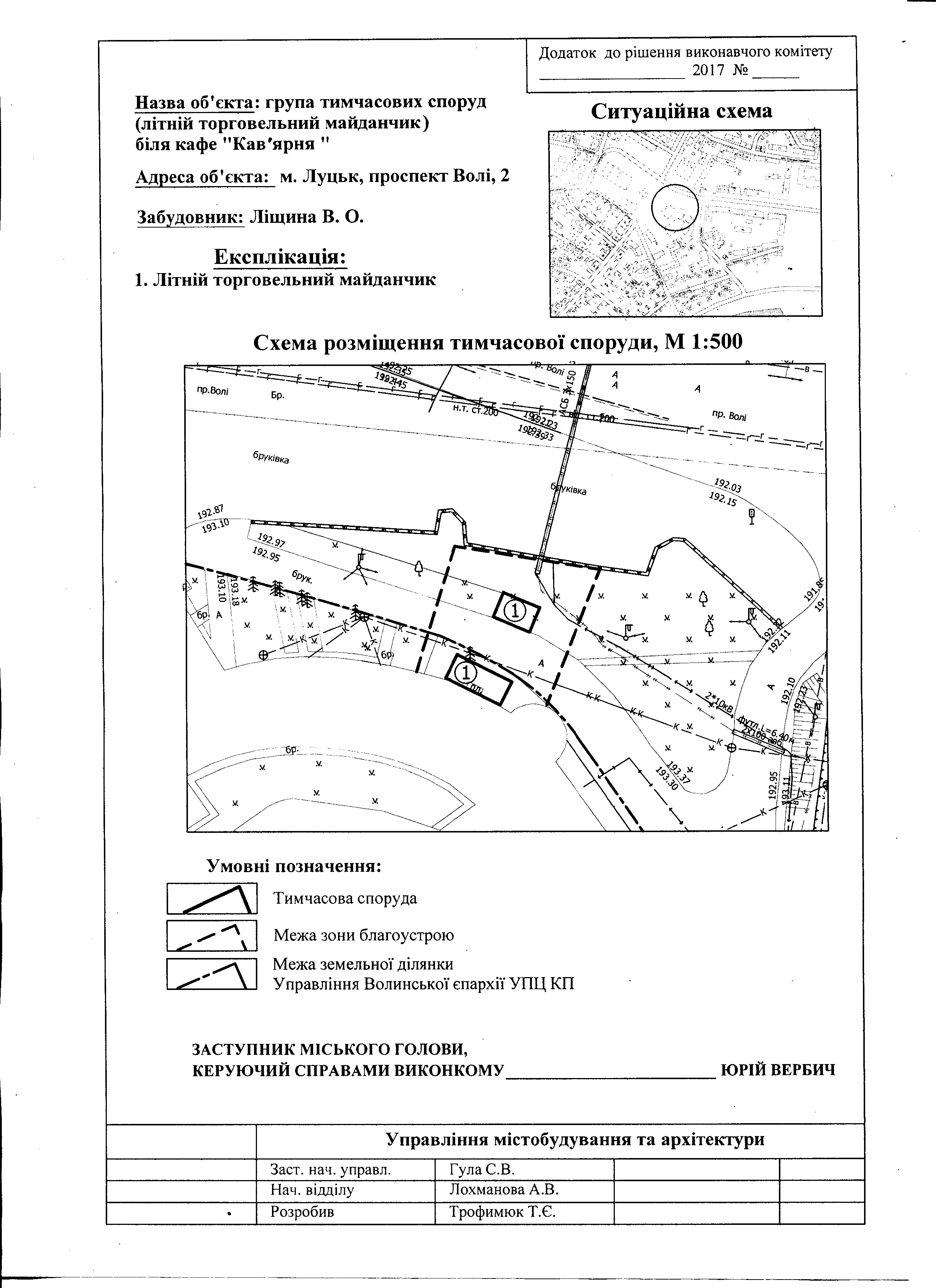
1. Погодити підприємцю Ліщині Володимиру Олександровичу розміщення групи тимчасових споруд для провадження підприємницької діяльності (літнього торговельного майданчика) на проспекті Волі, 2 (біля кафе «Кав’ярня», згідно з додатком) на термін 3 роки з періодом фактичного розміщення та функціонування з 01 квітня по 01 листопада, за умови укладення договорів на прибирання території та вивіз побутових відходів.

2. Зобов’язати підприємця Ліщину Володимира Олександровича:

2.1. Звернутись (через Центр надання адміністративних послуг у місті Луцьку) в управління містобудування та архітектури Луцької міської ради для оформлення паспорта прив’язки групи тимчасових споруд.

2.2. Звернутись (через Центр надання адміністративних послуг у місті Луцьку) у відділ управління майном міської комунальної власності Луцької міської ради для укладання договору на право тимчасового користування окремими елементами благоустрою комунальної власності для розміщення тимчасових споруд з метою провадження підприємницької діяльності на території міста Луцька.

2.3. Звернутись (через Центр надання адміністративних послуг у місті Луцьку) в управління розвитку підприємництва та реклами Луцької міської ради для встановлення режиму роботи об’єкта торгівлі та реєстрації Книги відгуків та пропозицій.

2.4. Встановлення групи тимчасових споруд здійснювати відповідно до паспорта прив’язки за умови отримання дозволу (ордера) в департаменті муніципальної варти на роботи з благоустрою відповідно до п. 10 Правил благоустрою міста Луцька, затверджених рішенням міської ради від 29.07.2009 № 44/2.

2.5. Утримувати в належному стані закріплену за групою тимчасових споруд територію для благоустрою.

2.6. Встановити урни для сміття біля групи тимчасових споруд, оздобити об’єкти квітковими композиціями.

2.7. Не використовувати сонцезахисних елементів з логотипами торгових марок, крісел, виготовлених із синтетичних матеріалів, торгових наметів закритого типу.

2.8. Забезпечити наявність у продавця документів, якими підтверджується якість і безпека харчових продуктів.

2.9. Забезпечити працюючий персонал форменим одягом. 

2.10. Дотримуватись вимог щодо технологічної безпеки функціонування, безпечної експлуатації тимчасових споруд, протипожежних, санітарних вимог та вимог техніки безпеки. 

2.11. Дотримуватись Правил розміщення та функціонування тимчасових споруд для провадження підприємницької діяльності на території міста Луцька, затверджених рішенням виконавчого комітету міської ради від 02.08.2012 № 528-1, Концепції розміщення та розвитку зовнішньої реклами та вивісок в місті Луцьку, затвердженої рішенням міської ради від 25.05.2016 № 9/6, та Правил додержання тиші в громадських місцях на території міста Луцька, затверджених рішенням Луцької міської ради від 23.12.2008 №33/5 (зі змінами).

3. Відділу управління майном міської комунальної власності Луцької міської ради укласти з суб’єктом господарювання договір на право тимчасового користування окремими елементами благоустрою комунальної власності для розміщення тимчасових споруд з метою провадження підприємницької діяльності на території міста Луцька.

4. Контроль за виконанням рішення покласти на заступника міського голови Рачкова О.Л.

 

 

Секретар міської ради                                                              Григорій Пустовіт

 

 

Заступник міського голови,
керуючий справами виконкому                                              Юрій Вербич

 

 

Чемерис 777884
Герасимюк 777863