Про затвердження громадянці Гажулі Т.М. проекту землеустрою щодо відведення земельної ділянки та зміну її цільового призначення для будівництва і обслуговування багатоквартирного житлового будинку з об’єктами торгово-розважальної та ринкової інфраструктури на вул. Даньшина, 14-в
Розглянувши заяву громадянки Гажули Тетяни Михайлівни про затвердження проекту землеустрою щодо відведення земельної ділянки та зміну її цільового призначення для будівництва і обслуговування багатоквартирного житлового будинку з об’єктами торгово-розважальної та ринкової інфраструктури на вул. Даньшина, 14-в, проект землеустрою щодо відведення земельної ділянки (зміна цільового призначення) на вул. Даньшина, 14-в, витяг з Державного реєстру речових прав на нерухоме майно про реєстрацію права власності, витяг з Державного земельного кадастру про земельну ділянку, керуючись статтями 12, 20-21, 91, 125-126, 186, 186-1 Земельного кодексу України, ст. 50 Закону України «Про землеустрій», Законом України «Про внесення змін до деяких законодавчих актів України щодо розмежування земель державної та комунальної власності», Законом України «Про Державний земельний кадастр», Постановою Кабінету Міністрів України від 17.10.2012р. №1051 «Про затвердження Порядку ведення Державного земельного кадастру», Законом України «Про державну реєстрацію речових прав на нерухоме майно та їх обтяжень» та ст. 26 Закону України «Про місцеве самоврядування в Україні», міська рада
ВИРІШИЛА:
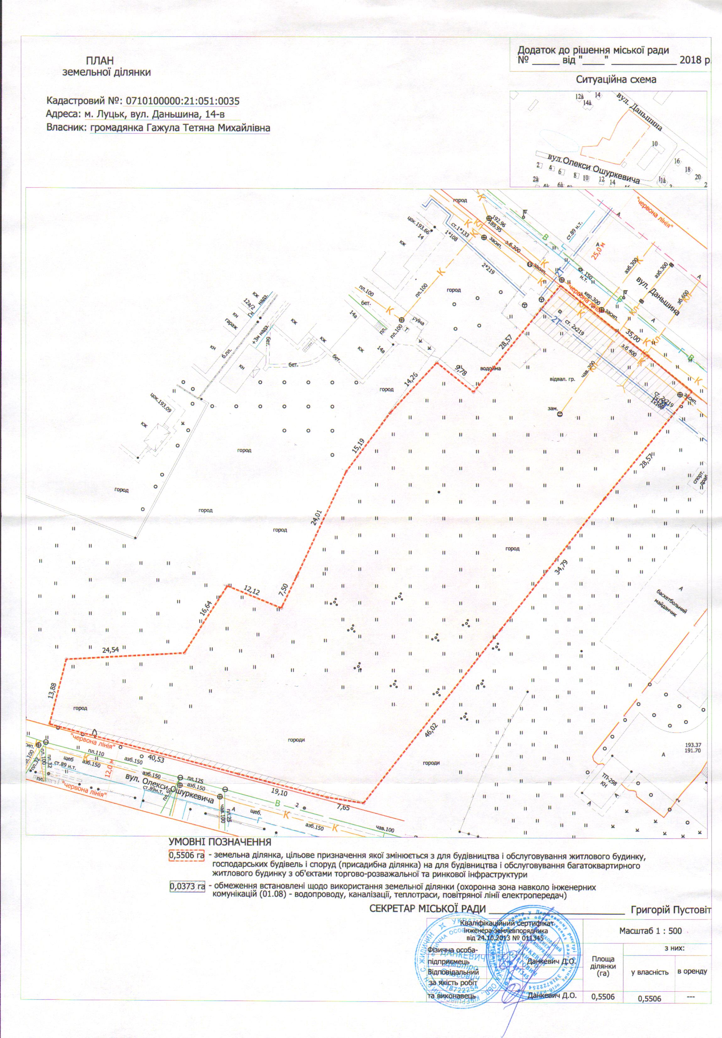
1. Затвердити громадянці Гажулі Тетяні Михайлівні проект землеустрою щодо відведення земельної ділянки (зміна цільового призначення) на вул. Даньшина, 14-в, площею 0,5506 га, кадастровим номером 0710100000:21:051:0035 для будівництва і обслуговування  багатоквартирного житлового будинку з об’єктами торгово-розважальної та    ринкової інфраструктури на вул. Даньшина, 14-в.
2. Змінити громадянці Гажулі Тетяні Михайлівні цільове призначення земельної ділянки на вул. Даньшина, 14-в, площею 0,5506 га, кадастровим номером  0710100000:21:051:0035  з  будівництва  та  обслуговування жилого будинку, господарських будівель і споруд на будівництво і обслуговування  багатоквартирного житлового будинку з об’єктами торгово-розважальної та  ринкової інфраструктури на вул. Даньшина, 14-в, згідно з додатком.
3. Зобов’язати громадянку Гажулу Тетяну Михайлівну:
3.1. Зареєструвати земельну ділянку та речові права на неї в порядку, визначеному чинним законодавством України.
3.2. Виконувати обов’язки власника земельної ділянки, відповідно до вимог ст. 91 Земельного кодексу України.
3.3. Забезпечувати збереження та вільний доступ до мереж міських інженерних комунікацій, що проходять по зазначеній території, для проведення ремонтних та профілактичних робіт.
4. Контроль за виконанням даного рішення покласти на постійну комісію міської ради з питань земельних відносин та земельного кадастру             (Козлюк О.Є.). 
    
Секретар міської ради                                                                Григорій Пустовіт
 
